Hello, World! La tempesta perfetta
Questo è Hello, World!, la nostra rassegna mattiniera di attualità, cultura e internet. Tutte le mattine, un pugno di link da leggere, vedere e ascoltare.
Questo è Hello, World!, la nostra rassegna mattiniera di attualità, cultura e internet. Tutte le mattine, un pugno di link da leggere, vedere e ascoltare.

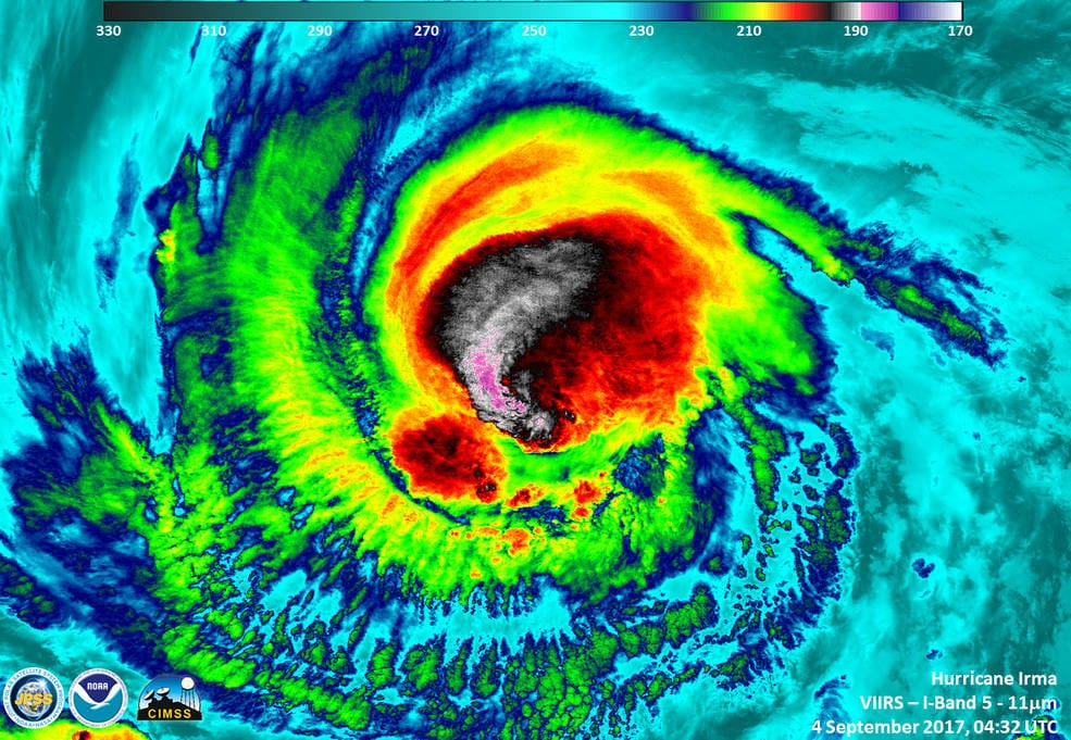
Con venti che soffiano oltre i 300 chilometri orari, Irma è l’uragano atlantico più potente della storia, e ha colpito le prime isole dei Caraibi. (Bloomberg)
L’isola di Barbuda è già ridotta in macerie. (CNN)
Quando raggiungerà le isole di Turks e Caicos, tra oggi e domani, potrebbe alzare il livello del mare così tanto — fino a 6 metri — da sommergerle. (the New York Times)
In Florida sono stati evacuati oltre 200.000 residenti. (ABC News)
I meteorologi statunitensi hanno messo in guardia contro le false notizie che definiscono Irma un uragano di “categoria 6” — non esiste nessuna categoria 6. (CBS)
Il Guardian sta seguendo la crisi in diretta.
Mondo
Facebook ha rivelato che qualcuno in Russia ha speso 100 mila dollari in due anni in messaggi pubblicitari a sfondo politico destinati agli utenti statunitensi. Ma non ci sarebbe nessun collegamento con la campagna elettorale. (Reuters)
100 mila dollari non sono neanche così tanti:
Russian 'troll farm' $100,000 for about 3000 ads.
Trump campaign $90 million for 40-50,000 https://t.co/cYzXRxcT4Y https://t.co/5CkFAkur0v
— The Eurasian Knot (@euraknot) September 6, 2017
Il generale in capo delle forze armate indiane ha detto che bisogna essere pronti a una guerra simultanea con Cina e Pakistan. (the Guardian)
In un colpo di testa onestamente abbastanza brillante, Trump ha accettato la proposta democratica di alzare il limite di debito per l’attività federale fino a metà dicembre, in modo da affrontare le spese causate dall’uragano Harvey, contro la volontà del proprio partito. (the New York Times)
Una candidata alle primarie per le elezioni comunali a Charlotte, in North Carolina, ha elencato tra le proprie qualifiche l’essere “bianca.” (the Hill)
“Solo lavoratori qualificati e permessi brevissimi.” Dopo molti avanti e indietro, sì, la stretta sull’immigrazione nel Regno Unito del governo May è durissima. (il manifesto)

La star dell’NBA Dennis Rodman parla della propria amicizia con Kim Jong Un, con cui spera si potrà chiarire tutto presto: “ci facciamo due risate e cantiamo al karaoke.” (Reuters)
Italia
Un grosso incendio è scoppiato all’impianto Eredi Bertè di Mortara, che si occupa di smaltimento di rifiuti speciali. Per il prefetto, c’è il rischio di contaminazione da diossina. (Next Quotidiano)
Le cause sono tutte da chiarire: proprio oggi nell’azienda era prevista la visita ispettiva semestrale dell’Arpa. (la Repubblica)
Mafie
Arrestati a Torre Annunziata 12 affiliati al clan Gionta, colpevoli tra l’altro di estorsione e di porto d’armi illecito. Mentre i Carabinieri li portavano via, i cittadini li hanno salutati con ovazioni e baci. (Napoli Today)
La Camorra ha ucciso due persone a Napoli, vicino a Porta Capuana. (la Repubblica)
Cult
Ufologia radicale, astronauti autonomi, rave nello spazio: breve storia dei “comunisti spaziali” italiani negli anni Novanta. (VICE)

I sindacati statunitensi dovrebbero concentrare i propri sforzi nell’organizzazione dei lavoratori impiegati nei magazzini di Amazon. (Splinter)
Storia di Barack Obama attraverso le copertine delle riviste che l’hanno ritratto. (the Guardian)
La prima base marziana cinese sarà grande 96 mila chilometri quadrati e sarà aperta ai turisti! E sarà un parco tematico, nel Qinghai, pianeta Terra :( (South China Morning Post)
Ambiente
Il 97% dei climatologi concorda sulla natura antropica del surriscaldamento climatico. Okay, e il restante 3%? È costituito da paper metodologicamente errati, o addirittura contenenti opportuni magheggi. (Quartz)

Un’Italia a energia rinnovabile farebbe risparmiare 6.500 euro a testa e creerebbe mezzo milione di posti di lavoro. Lo dice uno studio condotto da 27 ricercatori di prestigiose università internazionali. (la Repubblica)
Entro il 2032 la Scozia vorrebbe mettere al bando tutti i veicoli a benzina. (the Independent)
TuNur è il progetto di un gigantesco parco solare nel Sahara tunisino, che esporterà energia anche in Europa. (the Guardian)
Giornalismi
La morte della giornalista Suna Venter, lo scorso giugno, per una cardiomiopatia da stress, fa luce sul clima di paura e intimidazioni in cui lavorano i giornalisti in Sudafrica. (Al Jazeera)
Animali
Anche i cani amano la democrazia, e votano prima di decidere se andare a caccia. (Quartz)
Tre uomini della Tasmania hanno registrato un video che ritrarrebbe una tigre della Tasmania: una specie considerata estinta dal 1936. (ABC)
Cucina
Un produttore svizzero di cioccolato è riuscito a creare un cioccolato naturalmente colorato di rosa. (Bloomberg)
Musica
I Bermuda Triangle, trio formato da Brittany Howards — la cantante degli Alabama Shakes — Becca Marncari e Jesse Lafser, hanno pubblicato il proprio primo singolo. (Pitchfork)
Fondo del barile
Andate di fretta? Ovviamente in Giappone adesso c’è un servizio che organizza funerali drive–thru. (the Japan Times)
***

Se ti piacciono Hello, World e the Submarine, ricorda di recensire la pagina su Facebook. A domani! ?